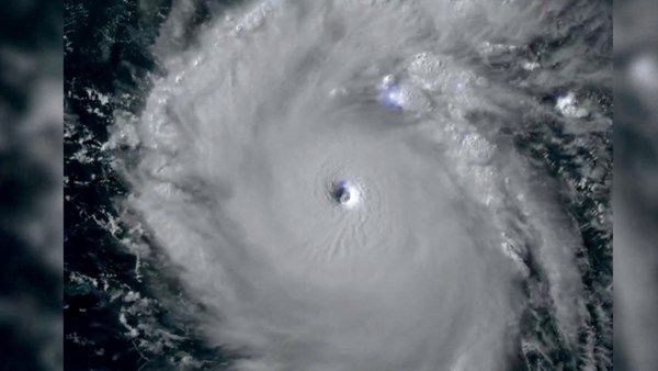
ابوظبي - سيف اليزيد - قال المركز الوطني الأميركي للأعاصير، إن قوة الإعصار بيريل الذي يضرب شرق منطقة الكاريبي بلغت أعلى فئة على مقياس الأعاصير المؤلف من خمس فئات.
وأضاف المركز أن الإعصار رُصد على بعد نحو 1355 كيلومتراً إلى الشرق والجنوب الشرقي من جاميكا برياح سرعتها 260 كيلومتراً في الساعة.
وقال المركز في بيان "بيريل أصبح الآن إعصاراً كارثياً من الفئة الخامسة" مضيفاً أن من المتوقع أن يجلب رياحاً تهدد الحياة وارتفاعاً كبيراً لأمواج البحر في جاميكا.
وفي الشهر الماضي، توقعت الإدارة الوطنية للمحيطات والغلاف الجوي الأميركية حدوث "نشاط أعاصير غير معتاد" في المحيط الأطلسي في 2024، ويرجع ذلك لأسباب منها ارتفاع درجات حرارة المحيط إلى مستوى أوشك على أن يكون غير مسبوق.
