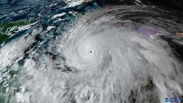
ابوظبي - سيف اليزيد - واصل الإعصار "ميليسا" قوته المتزايدة قبالة سواحل جامايكا، ليصل إلى الفئة الخامسة، وهي الأعلى بين درجات الأعاصير، بحسب ما أعلن المركز الوطني الأميركي للأعاصير.
وأوضح المركز، ومقره ميامي، أن الإعصار بلغت سرعة رياحه المستمرة 280 كيلومترا في الساعة، فيما كان مركز العاصفة يبعد نحو 245 كيلومترا عن عاصمة جامايكا كينجستون مساء الاثنين، ويتحرك بسرعة بطيئة تبلغ نحو 4 كيلومترات في الساعة.
وتعد الأعاصير بطيئة الحركة من أكثر الأنواع تدميراً، لأنها تمكث فترة أطول فوق المناطق المتأثرة بها. وبحسب هيئة الأرصاد الجوية في جامايكا، من المتوقع أن يضرب الإعصار اليابسة في الجزء الجنوبي الغربي من الجزيرة، بين منطقتي ويستمورلاند وسانت إليزابيث.
وصدرت تحذيرات من الإعصار في جامايكا، وكذلك في المقاطعات الكوبية جرانما وسانتياجو دي كوبا وجوانتانامو وهولجوين. ومن المنتظر أن يصل "ميليسا" إلى جامايكا في الساعات الأولى من صباح الثلاثاء، حيث حذر المركز الأميركي من "رياح مدمرة" و"فيضانات كارثية" حتى قبل وصول الإعصار إلى اليابسة. ويتوقع خبراء الأرصاد أن تتسبب العاصفة في ارتفاع الأمواج إلى نحو 4 أمتار في بعض المناطق على الساحل الجنوبي للجزيرة. وأمر رئيس الوزراء الجامايكي أندرو هولنس بعمليات إجلاء إلزامية لعدد من البلدات، داعيا السكان إلى البقاء في منازلهم قدر الإمكان واتباع تعليمات السلطات. وأنشأت أجهزة الدفاع المدني 900 مركز إيواء للطوارئ، فيما تم إغلاق مطار كينجستون. ومن المتوقع أن يمر الإعصار فوق جنوب شرق كوبا اليوم الثلاثاء بصفته "إعصارا كبيرا"، قبل أن يتجه إلى جزر الباهاما يوم غد الأربعاء.
